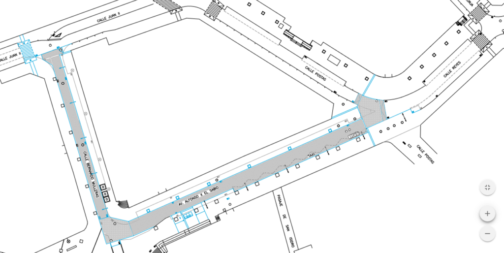
Con motivo de las obras de peatonalización que se van a llevar a cabo, este próximo lunes, 29 de junio, se cortarán al tráfico la calle Bernardo Mulleras y la Avenida Alfonso X “el sabio” desde las 8 de la mañana. PROYGOM Obra Civil, S.L. es la encargada de realizar estas obras en las que el Ayuntamiento de Ciudad Real invierte 331.000 euros.
El acceso al aparcamiento subterráneo de la Plaza Mayor se deberá realizar a través de la calle Alarcos, Plaza del Pilar y Plaza de Cervantes, por el itinerario provisional seguro que se establecido.
Durante las obras queda sin servicio la parada de autobús urbano de la calle Bernardo Mulleras, debiendo dirigirse los usuarios de la misma a la parada de calle Reyes con calle Postas.
El acceso a los garajes de la zona quedará habilitado según las indicaciones que de forma regular se irán dando por la empresa ejecutora de las obras.
Se actuará tanto en los acerados como en el firme de estas dos calles, donde se procederá a reordenar el ancho de calzada mediante la disminución del espacio destinado al tráfico rodado, ampliando los anchos de acerados, y unificando la cota en todo el recorrido. Además, se sustituirán los pozos de saneamiento así como las redes, y se añadirán algunos nuevos. También se renovará la red de agua potable en la zona, y se instalará un hidrante en el cruce de la avenida Alfonso X y la calle Postas.
Ante cualquier incidencia, pueden ponerse en contacto con la Policía Local a través del teléfono 092.
FUENTE: Ayuntamiento de Ciudad Real

                        
                      